lizaki
NAREW NA STOPA
Nie trudno zauważyć, że na łamach naszej strony dominuje feeder w każdej postaci. Przeczytacie o treningach z klasykiem i to zarówno tym rzecznym jak i finezyjnym, lekkim pickerze oraz o popularnej methodzie. Drgająca szczytówka po prostu wciągnęła mnie bez reszty. Nie oznacza to jednak, że całkiem zwariowałem i zupełnie odstawiłem wędki spławikowe. W rym […]
POWRÓT NAD WISŁĘ CZ. 2
Druga część naszego wiślanego powrotu dotyczyła przygotowań i łowienia Piotrka. Kolega jak wspomniałem na rzece nie łowił już kilka ładnych lat. Rzeczne łowienie jest jednak jak jazda na rowerze, tego się po prostu nie zapomina. Mój kompan bardzo szybko przypomniał sobie jak wyglądają automatyzmy potrzebne podczas pływania lizakami w spokojnym nurcie. W razie jakby […]
POWRÓT NAD WISŁĘ CZ. 1.
Muszę przyznać, że prawie sześć lat nie łowiłem na warszawskiej Wiśle. Zawsze na mojej drodze stała nie tylko wątpliwa urokliwość tutejszej wody, ale także zwyczajnie wygoda. Mało jest bowiem w stolicy miejsc gdzie cały wędkarski bagażnik można szybko i sprawnie dostarczyć nad wodę. Miejsca, które znam niestety mają to do siebie, że kombajn, tyczkę, […]
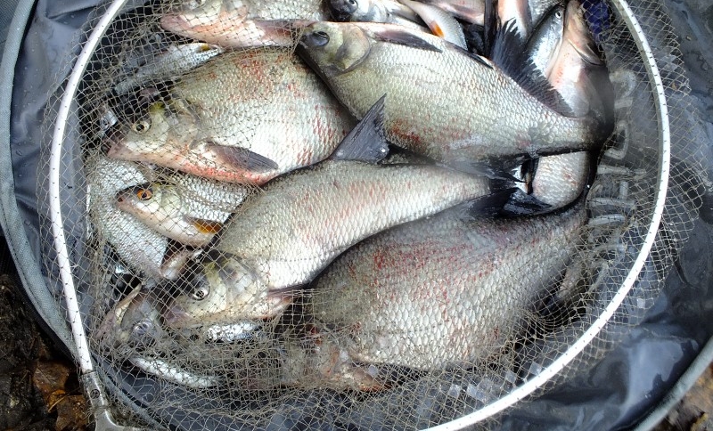
POCZTÓWKA ZNAD NARWI
Odkąd sięgam pamięcią zawsze na początku maja meldowałem się nad dużą wodą. Bywał czas, że rzeczne starcia zaczynałem już na początku kwietnia, ale w tym roku zgodnie z majową normą ruszyłem w kierunku rzeki. Celem mojej wyprawy były grube, narwiańskie krąpie, ryby niedoceniane przez wędkarzy, chimeryczne i wcale nie takie łatwe do złowienia. Przekonałem […]
WIETRZNY DEBIUT NAD ŁOMŻYŃSKĄ WODĄ.
Narew w miejscowości Bronowo wije się pośród lasów, polan i pól. To zupełnie inna rzeka niż ta nizinna, na której zwykłem łowić. O szerokim korycie okolonym opaskami lub zabezpieczającymi ostrogami można śmiało zapomnieć. Woda tutaj jest dziewicza, silnie meandruje i co najważniejsze jest bardzo rybna. Mimo, iż wędkarzy w dniu mojego wędkowania było sporo, […]
TRUDNE KRĄPIE Z DUŻEJ RZEKI.
W tym roku pogoda zafundowała rybom pomieszanie z poplątaniem. A jeśli dołożymy do tego utrzymujące się długo, wysokie stany wód nie powinniśmy się dziwić, że wszystko w podwodnym świecie jest mocno przesunięte w czasie. Ryby później kończą tarło. Ba, niektóre dopiero tarło zaczynają, mimo iż w poprzednim roku, o tej porze były już dawno […]
WYWIAD Z EMILIĄ KONDRUSIK
Emilio, jesteś od dłuższego czasu bez wątpienia w czołówce wyczynowego, kobiecego spławika. Masz na koncie liczne sukcesy. Opowiedz proszę, które zawody utkwiły Ci najbardziej w pamięci i dlaczego? Zawody, które najbardziej utkwiły mi w pamięci to GPP w Poznaniu. Pamiętam jak bardzo się cieszyłam, że będą tam zawody. Rzeka to miejsce, które kocham, gdyż od […]
KANAŁ ŻERAŃSKI – OSTATNIE LESZCZE
Tak się składa, że gdy jesienią na aleksandrowskim odcinku Kanału Żerańskiego pojawiły się już stada leszczy i płoci, pojawiły się wraz z nimi nieprzebrane rzesze wędkarzy. Wtedy jeszcze, na samym początku z zacietrzewieniem godnym większej sprawy odwiedzałem z matchówką w dłoni ten “biedniejszy” odcinek kanału Królewskiego – Kobiałkę. Mijający sezon upłynął mi pod znakiem małej […]
